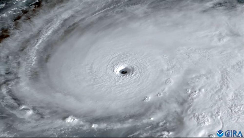
Orkaan Melissa trok een pad van vernieling op Haïti en de Dominicaanse Republiek. Vervolgens kwam ze op Jamaica aan land als een categorie 5. Ze was verwoestend met windsnelheden tot 298 km/u. Jamaica compleet verwoest achtergelaten, trok ze door naar de zuidoostpunt van Cuba, nog steeds met windsnelheden tot 195 km/u. Ook hier leidde dit tot overstromingen en modderstromen en vooral rond de stad Santiago zijn complete wijken verwoest. Was Melissa verwoestender omdat ze een vrouwelijke orkaan was? Of breder getrokken: Zijn orkanen met een vrouwennaam in het algemeen verwoestender? Het antwoord hierop is ja!
Toch ligt het allemaal wat genuanceerder dan je denkt. Vrouwelijke orkanen zijn namelijk niet perse zwaarder dan mannelijke orkanen. Het blijkt dat mensen orkanen met vrouwelijke namen minder serieus nemen dan de mannelijke variant en daar komt nu juist het gevaar om de hoek kijken; ze bereiden zich minder goed voor, wat leidt tot meer slachtoffers. In dit verhaal duiken we in de geschiedenis van de orkaannamen, hoe onderzoek onthult dat vrouwelijke orkanen gevaarlijker zijn en legt precies de vinger op de zere plek.
Vroeger alleen vrouwelijke orkanen
Voor 1950 waren er nog geen officiële orkaannamen, maar vanaf 1953 begon het National Hurricane Center met het gebruik van uitsluitend vrouwennamen voor orkanen in het Atlantisch gebied. Het gebruik van namen is bedoeld om de communicatie te vergemakkelijken. In de media weet je precies over welke orkaan het gaat en dit komt de veiligheid van de burger ten goede. Vroeger kregen orkanen in de VS alleen vrouwennamen. Men was geïnspireerd door de militaire meteorologen tijdens de Tweede Wereldoorlog die stormen informeel naar hun vrouwen of vriendinnen noemden. 
Na meerdere kritische noten en protesten van feministische bewegingen zijn in 1979  ook mannennamen toegevoegd aan de stormnamenlijst. Vrouwen en mannen wisselen elkaar sindsdien af op een vooraf bepaalde lijst. Het is een zesjarige lijst waarbij de jaarlijkse stormnamenrij elke 6 jaar weer terugkomt. Alleen de dodelijkste orkanen worden van de lijst gehaald en vervangen voor nieuwe namen. Hergebruiken van zo’n naam zou pijnlijk en ongepast zijn voor de nabestaanden. Ook zou een beruchte naam bij hergebruik kunnen leiden tot verwarring in de communicatie, het nieuws en de hulpverlening.De zesjarige lijst met stormnamen van het NHC
Vrouwelijke orkaan is dodelijker
Nu de orkaannamen eerlijk zijn verdeeld blijken vrouwelijke orkanen dodelijker dan de mannelijke. Dit is aan het licht gekomen tijdens een wetenschappelijk onderzoek op de Universiteit van Illinois. 95 orkanen tussen 1950 en 2012 die de VS troffen werden onder de loep genomen. De extreem krachtige stormen, zoals Katrina, werden buiten beschouwing gelaten om de resultaten eerlijk te houden. Zo konden de onderzoekers stormen van vergelijkbare sterkte met elkaar vergelijken. En wat bleek? Stormen met een mannelijke naam eisten gemiddeld 15 levens terwijl vrouwelijke orkanen gemiddeld 42 slachtoffers maakten. Dat is nogal een verschil! 
Sprake van seksisme
Om erachter te komen hoe dit mogelijk is, werd een tweede deel van het onderzoek uitgevoerd. 1000 mensen kregen verschillende orkaannamen te zien en moesten inschatten hoe gevaarlijk ze die vonden. De uitkomst was op z’n minst shockerend te noemen: De deelnemers vonden stormen met mannelijke namen, zoals Alexander of Victor, dreigender dan hun vrouwelijke tegenhangers Alexandra of Victoria. Ook Christina werd als minder gevaarlijk ingeschat dan Christopher. Vooral namen die als typisch vrouwelijk worden gezien, zoals Belle of Cindy, zorgden ervoor dat mensen het gevaar minder serieus namen. Hieruit voortvloeiend nemen mensen minder snel maatregelen, zoals evacueren of zich voorbereiden op noodweer. Een storm die ‘Cindy’ heet? Dat zal wel meevallen. Maar eentje met de naam ‘Carl’? Dan gaan de alarmbellen af.
Moeten we dan alleen nog mannelijke namen gebruiken? 
Dit werpt ons weer terug op eeuwenoude ideeën en opvattingen over gender. Niet alleen het uiterlijk of gedrag van mannen vs. vrouwen roept associaties op, zelfs een naam kan blijkbaar al bepalen hoe serieus we iets nemen. En die denkpatronen zitten diep! Ze zijn verweven met allerlei andere overtuigingen en gewoontes in onze cultuur. Het werpt tegelijkertijd een lastige vraag op: Zou het veiliger zijn om orkanen voortaan alleen nog mannelijke namen te geven? Dit idee is geopperd, maar is ook weer een scheve vorm van ongelijkheid! Anderen zeggen: pak eerst maar de stereotypen aan, al duurt dat jaren en kost het misschien meer levens. De orkaan lijkt de enige in deze kwestie die geen onderscheid maakt. Hij of zij treft iedereen, ongeacht de sekse.
Terug naar orkaan Melissa
Hoewel het nog niet officieel beslist is, lijkt de kans groot dat Melissa in ieder geval van de namenlijst wordt geschrapt. Ze was enorm, heeft extreme schade veroorzaakt en meerdere dodelijke slachtoffers geëist. Inmiddels ligt Melissa, nu verzwakt tot ordinair lagedrukgebied, voor de kust van Noord-Europa en neemt ze weliswaar wisselvallig weer met zich mee, maar zeker geen noodweer. Over Nederland heeft ze een warmtefront gedrapeerd dat gestaag van west naar oost overtrekt en zo trapt de maandag in Nederland druilerig af. Dinsdag is het na passage van het warmtefront meest droog en absoluut niet koud. De temperatuur loopt op naar 15 graden en in de middag komt vanuit het zuiden voorzichtig de zon tevoorschijn.
Restanten storm Melissa nu voor de kust van Europa
